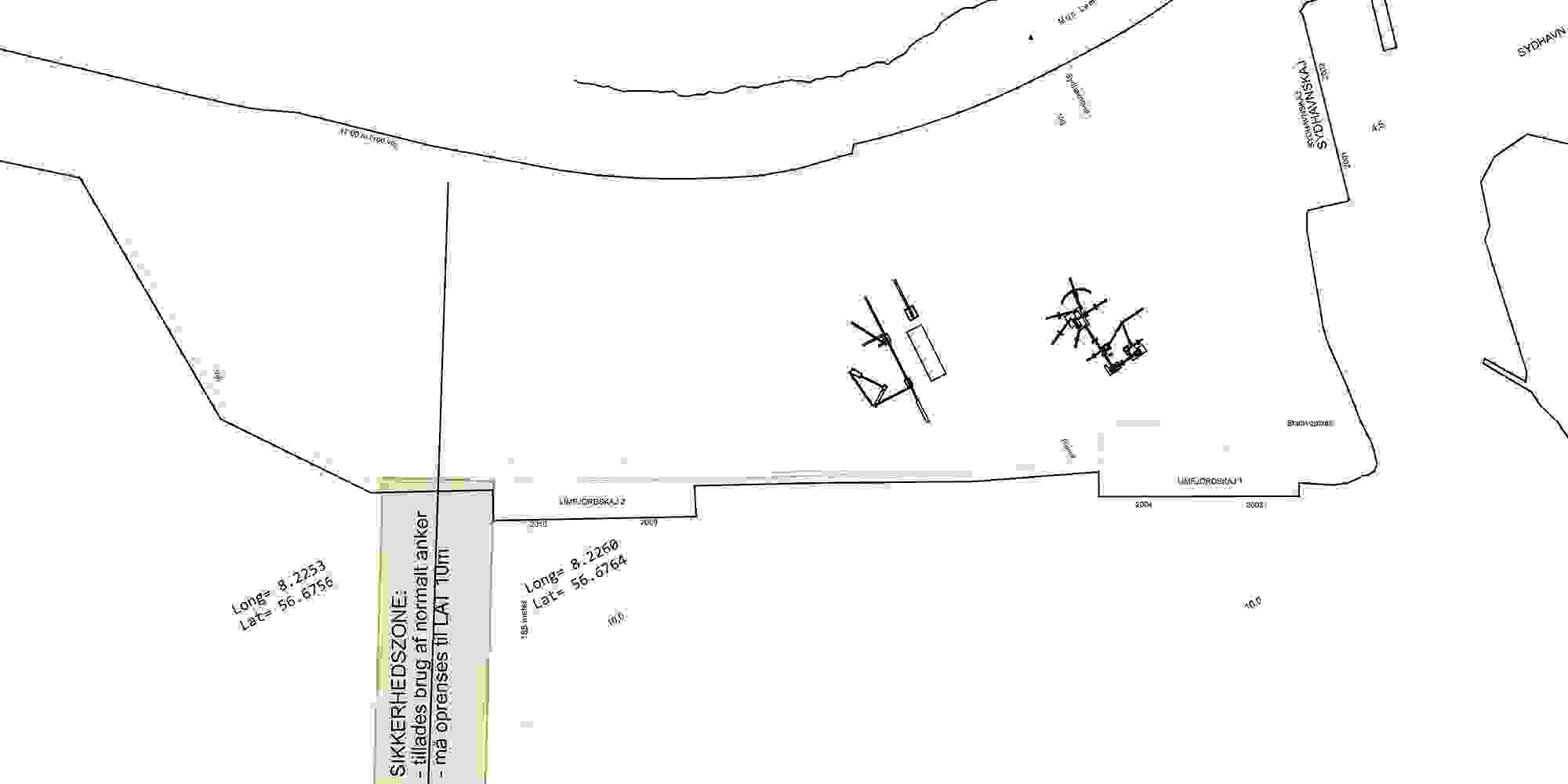
Havnekort til bulkgods
Her finder du havnekort over kajanlæg til bulkgods.
- Limfjordskaj I er en bulkgodskaj dedikeret til sand og grus
- Limfjordskaj II er et sværgodskajanlæg til projektgods med en bæreevne til de helt tunge løft, som også er velegnet til håndtering af bulkgods.
